catastrophic
-
Marine World
Single Loose Wire Caused Dali’s Catastrophic Bridge Strike, NTSB Concludes
A labeling band on a single signal wire caused the electrical blackout that led to the containership Dali’s collision with…
Read More » -
Marine World
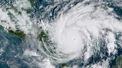
Cat 5 Hurricane Melissa Threatens Jamaica with Catastrophic Conditions as Maximum Winds Reach 175 MPH
Hurricane Melissa intensified to a Category 5 storm with maximum sustained winds of 175 mph as of Monday evening, positioning…
Read More » -
Maritime News
Five Missing in Catastrophic Trawler Collision off Mauritania
A collision between two fishing boats left five people missing off the coast of Mauritania last week, prompting a…
Read More » -
Marine World
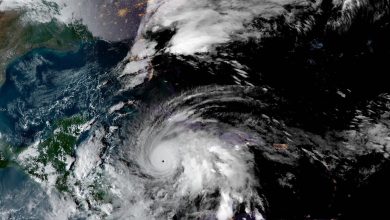
Hurricane Helene: NOAA Warns of Catastrophic Flooding as Category 4 Storm Approaches Florida
As Hurricane Helene barrels towards Florida’s northwest coast, the National Oceanic and Atmospheric Administration (NOAA) is sounding the alarm on…
Read More » -
Port News
Why nuclear power would be catastrophic for the shipping industry
Nuclear power being used to propel ships could be catastrophic, according to one of the most famous names in shipping,…
Read More »
